Patricia es el huracán “más poderoso” registrado “en la historia del planeta”
Según la Comisión Nacional del Agua (Conagua), no ha existido otro fenómeno que haya alcanzado vientos sostenidos de 325 kilómetros

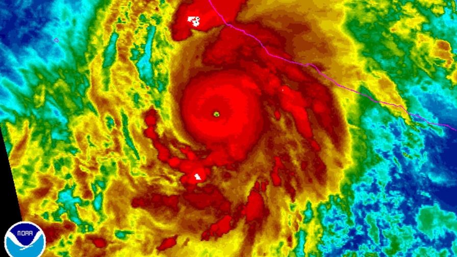
MÉXICO. Con vientos sostenidos de 325 kilómetros por hora, el huracán Patricia se convirtió en el “más poderoso que haya existido en el planeta en toda la historia”, dijo hoy el director de la Comisión Nacional del Agua (Conagua), Roberto Ramírez.
“No hay un huracán en todo el planeta en toda la historia que haya llegado en la velocidad de sus vientos a 325 kilómetros por hora”, dijo el titular de la Conagua al destacar que los expertos lo consideran ya el “más poderoso” jamás registrado en el mundo.
Este meteoro es “sumamente violento” y “puede ser muy catastrófico”, afirmó en una conferencia de prensa para dar detalles sobre la evolución del huracán.
Explicó que en las últimas hora se produjo un cambio de ruta y actualmente se dirige hacia Playa Perula, en el sur de Jalisco, por lo que se encuentra en una “zona de mucho mayor influencia del estado de Colima”.
Por ello, la ciudad Manzanillo, que se encuentra a 90 kilómetros de Playa Perula, que es la zona de más riesgo, aunque ello no implica que “esta sea la zona de impacto”, remarcó.
Según el reporte de las 10.15 hora local (15.15 GMT) del Servicio Meteorológico Nacional (SMN), Patricia avanza con rachas de 400 kilómetros por hora hacia las costas de los estados del Pacífico mexicano de Michoacán, Colima y Jalisco, causando ya vientos fuertes y oleaje.
Patricia mantiene un desplazamiento hacia el norte a 17 kilómetros por hora y desarrolla vientos sostenidos de 325 kilómetros por hora y rachas de hasta 400.
Se encuentra a 200 kilómetros al suroeste de Manzanillo, Colima a 225 kilómetros al sur de Playa Perula, Jalisco y a 310 kilómetros al sur de Cabos Corrientes, Jalisco.
“Es altamente probable que el ojo de Patricia comience a pasar sobre Playa Perula y Playa Chamela en el sur del estado de Jalisco y a 95 kilómetros al oeste-noroeste de Manzanillo, Colima al final de esta tarde”, informó el SMN.
El SMN prevé en las próximas horas lluvias de intensas a torrenciales en Colima, Jalisco y Michoacán, intensas en Durango, Nayarit, Zacatecas, Aguascalientes, Guerrero y Guanajuato, así como lluvias fuertes en Sinaloa.
Los desprendimientos nubosos de Patricia llegarán al centro del país y favorecerán lluvias fuertes en Estado de México, Distrito Federal, Morelos y Querétaro.
Se espera que hasta el sábado el sistema genere lluvia “con acumulados totales de 150 milímetros (mm) a 300 mm y máximos puntuales de 500 mm sobre los estados de Nayarit, Jalisco, Colima y Michoacán.
Además de precipitaciones de 200 kilómetros en Guerrero, con posibles deslizamientos en zonas de montañas e inundaciones en zonas bajas
EFE
EFE