Irma azota Puerto Rico después de devastar Antillas Menores; se reportan ocho muertos
De los fallecidos reportados seis se registraron en San Martín. Puerto Rico reporta un muerto, igual en Barbudas

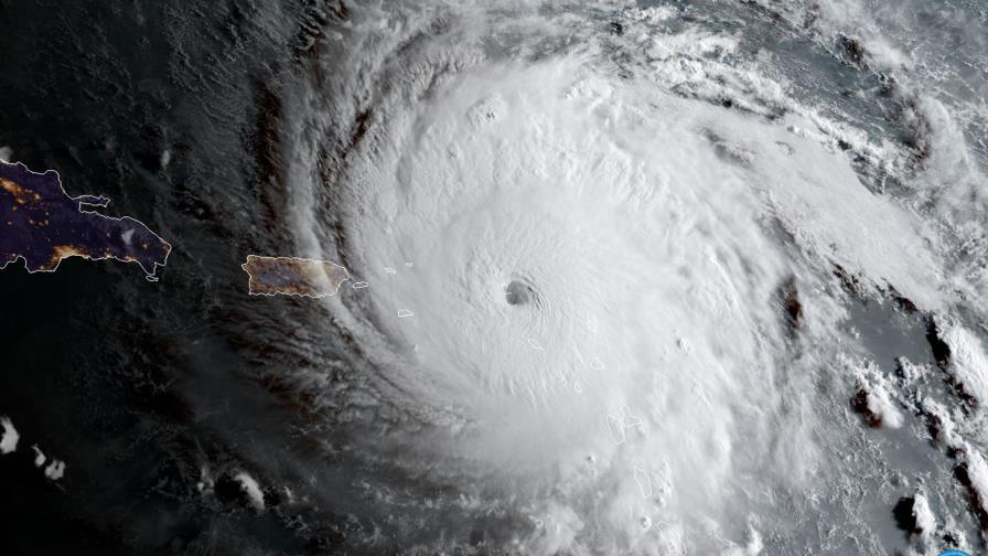
SAN JUAN. El huracán Irma azotó el miércoles Puerto Rico con fuertes lluvias y poderosos vientos, dejando a más de 900.000 personas sin servicio de electricidad mientras las autoridades luchaban por llevar ayuda a las pequeñas islas del Caribe que ya fueron devastadas por la histórica tormenta.
Florida apresura su preparación ante un posible golpe directo en el área de Miami por parte de la tormenta de categoría 5, que tiene vientos potencialmente catastróficos de 297 kilómetros por hora (185 mph).
Casi todos los inmuebles de la isla de Barbuda resultaron dañados después de que el ojo de la tormenta prácticamente le pasó encima a primeras horas del miércoles, y alrededor del 60% de los casi 1.400 habitantes de la isla perdieron su casa, dijo a The Associated Press el primer ministro de Antigua y Barbuda, Gaston Browne.
“O quedaron totalmente demolidas o perdieron el techo”, dijo Browne después de volver a Antigua tras sobrevolar la isla vecina. “Es una situación realmente horrenda”.
Dijo que los caminos y los sistemas de telecomunicaciones quedaron destruidos y que la recuperación tomaría meses o incluso años. Un niño de 2 años de edad murió cuando su familia intentó escapar cuando su casa quedó destruida durante la tormenta, relató Brown a AP.
También se reportaron graves daños en San Martín, una isla que está dividida bajo control de Francia y Holanda. Francia envió agua y alimentos de emergencia tanto a San Martín, como a San Bartolomé, en donde el paso de Irma dejó casas sin techo y destruyó el sistema eléctrico. Infantes de Marina holandeses que se trasladaron a San Martín y otras dos islas bajo control holandés que fueron azotadas por Irma, señalaron que los daños son extensos pero no hay reporte de lesionados o heridos.
Para la noche del miércoles, el vórtice de la tormenta se ubicaba a 80 kilómetros (50 millas) al norte de San Juan, Puerto Rico, y avanzaba con dirección oeste-noroeste a una velocidad de 26 kilómetros por hora (16 mph).
Más de la mitad de la isla de Puerto Rico se quedó sin electricidad, y hay más de 50.000 personas sin agua, indicó la agencia de manejo de emergencias de la isla. En total, 14 hospitales utilizaban generadores después de quedarse sin luz, y varios caminos quedaron obstaculizados por la caída de árboles y postes.
En la pequeña Isla Culebra se reportaron vientos sostenidos de 141 kilómetros por hora (88 mph) y ráfagas de hasta 177 kilómetros por hora (110 mph).
El Servicio Meteorológico Nacional dijo que no se ha visto un huracán de la magnitud de Irma en Puerto Rico desde el azote del huracán San Felipe en 1928, que causó la muerte de 2.748 personas en Guadalupe, Puerto Rico y Florida.
La Autoridad de Energía Eléctrica de Puerto Rico ha recortado su personal y mantenimiento a causa de la crisis económica que vive desde hace más de una década, y el director de la agencia advirtió que algunas zonas podrían quedar sin luz hasta por seis meses debido al deterioro de la infraestructura.
Esta semana, el presidente Donald Trump aprobó una declaración de emergencia para Islas Vírgenes y Puerto Rico. Eso significa que la Agencia Federal para el Manejo de Emergencias y otras dependencias pueden retirar escombros y proporcionar servicios que serán pagados, en su mayoría, por el gobierno estadounidense.
Funcionarios de la Agencia de Protección Ambiental indicaron que sus mayores preocupaciones son los derrames de petróleo y las fallas de electricidad en sistemas de abasto de agua.
“No importan las precauciones que tomemos, las inundaciones costeras impactarán los tanques de petróleo”, dijo Catherine McCabe, gerente regional.
Otra fuente de preocupación son las 20 instalaciones del programa de limpieza de tóxicos Superfund en Puerto Rico y tres más en Islas Vírgenes, dado que la mayoría de ellas están cerca de la costa, destacó McCabe. Dijo que las autoridades de la agencia en Nueva Jersey están en alerta para volar a la zona tras el paso del huracán.
Juan Tosado, un trabajador de mantenimiento estatal, dijo que no tuvo luz durante tres meses después de que el huracán Hugo provocó la muerte de decenas de personas en Puerto Rico en 1989.
“Yo lo espero igual”, dijo. “Va a ser bien malito”.
La turista Pauline Jackson, una enfermera registrada de 59 años de edad y originaria de Tampa, Florida, fumaba su último cigarrillo antes de que su hotel en San Juan cerrara las puertas en espera de la tormenta.
“Estoy aquí y hay huracán, y cuando llegue a casa estaré otra vez en el mismo huracán”, dijo.
Intentó salir de la isla antes de la llegada de la tormenta, pero todos los vuelos estaban vendidos, por lo que se quedó preocupada por lo que le podría ocurrir a su casa en Tampa.
“Cuando eres de Florida, entiendes la magnitud de un huracán de categoría 5, dijo Jackson, cuyo vuelo está programado para el viernes.
Por DÁNICA COTO y ANIKA KENTISH, Associated Press
___
La periodista de Associated Press Dánica Coto reportó este despacho desde San Juan y la periodista de AP Anika Kentish reportó desde St. John’s, Antigua. Los periodistas de AP Seth Borenstein en Washington, Michael Weissenstein en La Habana y Ben Fox en Miami contribuyeron.
Irma deja al menos un muerto y destrucción masiva de viviendas en Barbuda
Sin ayuda estatal, haitianos están a su suerte ante inminente paso de Irma
Al menos seis muertos en la parte francesa de San Martín por el paso de Irma
Huracán Irma entra en territorio de Puerto Rico y registra su primera víctima
AP
AP