Prevén una temporada de huracanes más activa de lo normal en el Atlántico
Pronostican de 16 a 20 tormentas con nombre, de las que entre 7 y 10 llegarán a ser huracanes

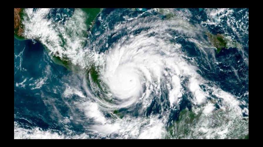
La próxima temporada de huracanes en el Atlántico tendrá una actividad “superior al promedio anual” con 17 tormentas tropicales con nombre, según el pronóstico anual difundido este jueves por la Universidad Estatal de Colorado (CSU), en EE.UU.
El informe indica que existe una probabilidad por encima del promedio de que “grandes huracanes impacten la costa continental de Estados Unidos y el Caribe”.
Los expertos de la universidad anticipan 17 tormentas con nombre, con 8 huracanes y 4 de ellos huracanes con vientos sostenidos de unos 178 kilómetros por hora, es decir, categoría 3, 4 o 5 en la escala de Saffir/Simpson.
El pronóstico, presentado en el marco de la Conferencia Nacional de Clima Tropical, se basa en más de cuatro décadas de datos históricos de los huracanes compilados por CSU y en la observación de dos elementos claves para la formación de esos huracanes: las temperaturas del agua en el Atlántico y las fluctuaciones en el Pacífico conocidas como El Niño y La Niña.
Específicamente, el reporte dice que existe un 69 % de probabilidades que un huracán afecte algún lugar de la costa este de Estados Unidos, cuando el promedio del siglo pasado era del 52 %.
El pronóstico incluye 80 días de tormentas y 35 días de huracanes, igual que en 2020, un año récord en esta materia, y por encima del promedio histórico de 59 y 24, respectivamente.
Además, se ha estimado un 44 % de probabilidades de un huracán llegando al Golfo de México y un 58 % de probabilidades de un huracán en el Caribe, ambos números significativamente por encima de los promedios históricos.
Si el pronóstico para 2021 se cumple tal como hoy fue anticipado por CSU, esta temporada estará un 40 % por encima del promedio, que surge de los datos tomados desde 1981.
El reporte de los expertos de la universidad de Colorado coinciden en gran medida con los presentados esta semana por la compañía de servicios meteorológicos Accuweather.
En este caso prevén que en 2021 se formarán en el Atlántico de 16 a 20 tormentas con nombre, de las que entre 7 y 10 llegarán a ser huracanes, de los cuales entre 3 y 5 serán de categoría mayor.
En la temporada de 2020, la más activa de la historia, hubo 30 tormentas con nombre, 13 de ellas huracanes y 6 de estos mayores.
También fue récord porque EE.UU. sufrió 12 embates directos, 3 más que en 1916, que tenía la marca anterior, según Accuweather.

EFE